Gili Trawangan Snorkeling: The Ultimate Guide to Finding Turtles
Are you planning a trip and wondering where to find the absolute best Gili Trawangan snorkeling? After spending an unforgettable nine nights on this island paradise, I’ve poured all our findings into this ultimate guide. We learned so much, and now I’m sharing it all with you.
The Gili Islands attract hundreds of thousands of visitors each year, and a huge reason is the promise of swimming with majestic sea turtles right off the beach. This guide is your key to making that happen. It’s especially designed for families with kids, focusing on water depth, safety, and the best times to go to ensure everyone has a fantastic and safe experience.
Forget guesswork. This is your detailed, experience-based plan for finding sea turtles and exploring the most vibrant underwater spots on the island.
Spot Comparison: East vs. North for the Best Snorkeling
The key to amazing Gili Trawangan snorkeling is knowing which side of the island fits your goal. The east and north beaches offer two completely different, but equally incredible, underwater worlds. We spent days exploring both, and here’s the honest breakdown.
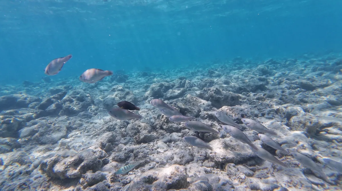
Spot 1. East Beach: In front of Gili Boys & Wah Resort
This is the island’s famous “Turtle Point.” If seeing a sea turtle is at the very top of your bucket list, you need to start here.
Location
You’ll find this spot easily. It’s located along the main bustling street on the eastern side of Gili Trawangan. Look for the beach area directly in front of the laid-back ‘Gili Boys’ bar and the neighboring ‘Wah Resort.’
Pros
- Turtle Sightings are Almost Guaranteed: This is where we saw the most turtles, by far. They come here to feed on the seagrass, making them easy to find.
- Helpful Locals: The staff at Gili Boys are amazing. They genuinely love the turtles and will happily help you find them, often guiding you right to their location.
- Easy Beach Access: Wah Resort has no minimum charge for their sunbeds. This makes it a perfect, no-fuss home base for your snorkeling session.
Cons
- Less Vibrant Reef: While you’ll see turtles, there are fewer corals here, and the underwater landscape isn’t as colorful as the north. The water can also be a bit murky due to sand and boat traffic.
- It Can Get Crowded: This spot is on the route for every snorkeling tour boat, so it can get busy, especially from mid-morning to afternoon.
- Deep Water at High Tide: Be very aware of the tide. At high tide, the seafloor drops off quickly. The water can go from ankle-deep to an adult’s chest height within just a few meters from shore.
Our Experience
We quickly learned that morning was the best time for turtle spotting. The Gili Boys staff confirmed this, telling us that 10 AM was the golden hour when turtles are most active. For families, please be cautious here during high tide as the depth changes suddenly.
Our best tip? Settle into a comfy beanbag at Gili Boys, order a cold drink, and let the staff know you’re hoping to see turtles. They took us by the hand (literally!) and led us right to one, with no extra fee. It was an incredible service that made the experience so special.
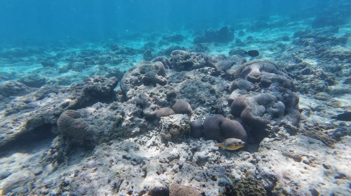
Spot 2. North Beach: Near Gilibong Sunset Bar
If your dream is to swim inside a real-life aquarium, surrounded by a kaleidoscope of colorful fish and intricate corals, the North Beach is your destination.
Location
Make your way to the quieter northern beach of Gili Trawangan. The best entry point to the sea is to the left of the ‘Gilibong Sunset’ bar, right in front of the Swing Bar.
Pros
- Incredible Marine Diversity: The sheer variety of fish here is breathtaking. We saw clownfish, angelfish, parrotfish, and so much more. The water is crystal clear, and the corals are abundant.
- Perfect for Kids and Beginners: At low tide, this spot is a snorkeler’s dream. You can walk far out, and the water remains shallow and calm, making it incredibly safe for children to explore.
- Peace and Quiet: Far from the main harbor, this area sees very few tour boats. This means you get a more tranquil and personal snorkeling experience.
Cons
- Lower Chance of Seeing Turtles: While we did spot a turtle here occasionally, it’s far less common than on the east side. Your focus here should be on the fish and corals.
- Aqua Shoes are Essential: The seabed is littered with sharp coral fragments. To protect your feet and snorkel comfortably, aqua shoes are a non-negotiable piece of gear.
- Potential Minimum Charges: Some beach bars, like the Swing Bar, have a minimum spend to use their sunbeds.
Our Experience
This spot was our family’s favorite. During low tide, our kids could stand in waist-deep water and be completely surrounded by schools of curious fish. It was magical. However, be aware that even here, the seafloor can drop off at high tide. We found that after walking just a couple of meters out, the water got deep suddenly, so constant adult supervision is a must.
Our strategy here was to follow the largest schools of fish. They often led us to the most interesting parts of the reef, and by following them, we even stumbled upon a graceful turtle on one of our visits!
Choosing the Best Time for Your Snorkel
Timing is everything when it comes to Gili Trawangan snorkeling. The tide and time of day will completely change your experience.
Tide: Low vs. High
- For Turtle Spotting: The Gili Boys staff gave us an inside tip: turtles are often most active and visible when the tide is coming in (the period leading up to high tide).
- For Safe Snorkeling: Low tide is, without a doubt, the safest time. The water is much shallower and calmer, which is ideal for beginners, less confident swimmers, and especially children.
- Our Recommendation: If you are a beginner or have kids, always, always plan your snorkel adventure for low tide. Check a local tide chart online before you head out.
Time of Day: Morning vs. Evening
- Morning (Highly Recommended): The sea is almost always calmer in the morning, offering glass-like conditions and excellent visibility. As mentioned, around 10 AM seems to be the sweet spot for turtle activity on the east side.
- Evening: In the afternoon and evening, the wind often picks up, creating a choppy sea with more waves. This can make snorkeling uncomfortable, as water can easily splash into your snorkel and make breathing difficult.
Our nine days of observation proved this consistently. The morning sea was a completely different world—calm, clear, and perfect for a long, relaxing snorkel.
Snorkeling Strategy & Tips: A Plan for Everyone
Based on our experience, here is a simple strategy to help you have the best day, no matter what your goal is.
If Your Priority is Seeing Turtles
- Plan your morning. Head to Gili Boys on the East Beach around 10 AM.
- Find a nice spot on one of their beanbags and order a refreshing drink.
- Let the friendly staff know you’re hoping to see turtles. They know the area better than anyone.
- Get ready for an amazing experience as they guide you to a turtle’s feeding spot (no extra charge, just pure kindness!).
If You Want to See a Variety of Fish & Marine Life
- Visit the North Beach in the morning, preferably during low tide.
- Set up your base near Gilibong Sunset and enter the water there.
- Swim slowly, breathe calmly, and follow the schools of fish. You might just spot a turtle passing by too!
If You’re Snorkeling with Kids
- Check the low tide schedule and only visit then. This is the most important safety tip!
- The North Beach is our top recommendation for families due to its shallow, calm water and abundance of fish.
- Make sure everyone has aqua shoes. This is not optional for kids.
- Go in the morning to take advantage of the calm, waveless sea.
- If you need more tips on island hopping, check out our guide on the [Bali to Gili Trawangan: Your Easy Guide to Booking a Boat to Gili Islands – Deals, Tips and My Story] to ensure your journey is family-friendly too.
Beach Bar & Sunbed Information
Having a comfortable base camp makes the day so much better. Here’s the lowdown on the bars at the best snorkel spots.
East Beach
- Wah Resort: This was a great, simple option. They had comfortable sunbeds and, best of all, no minimum charge to use them.
- Gili Boys: While they don’t have a formal minimum charge, it’s good etiquette to order a drink or snack if you’re using their popular beanbags. Their incredible turtle guiding service makes it more than worth it.
North Beach
- Swing Bar: This bar has a prime location. They have a minimum charge of 100,000 IDR per sunbed. However, this is easily covered by ordering drinks or a tasty lunch. They were also great with our family, as kids were not counted toward the occupancy of the sunbed.
- Gilibong Sunset: A more rustic and relaxed vibe. There was no minimum charge for their beanbags. The staff might not approach you right away, so you may need to go to the bar to order. We found a lovely spot here under the natural shade of a tree.
Final Thoughts
After nine nights dedicated to finding the best Gili Trawangan snorkeling, my conclusion is this: you can, and should, experience the best of both worlds.
- For guaranteed turtles: Dedicate a morning to Gili Boys on the East Beach around 10 AM.
- For diverse fish and stunning reefs: Spend another morning at the North Beach.
- For safe snorkeling with kids: Prioritize the North Beach during low tide.
- If you’re a beginner or not a strong swimmer: Always visit during low tide, no matter which spot you choose.
By snorkeling on the East side one day and the North side another, and by keeping a close eye on the morning hours and the tide chart, you are setting yourself up for a truly unforgettable marine adventure on Gili Trawangan.
Frequently Asked Questions (FAQ)
1. What is the best month for Gili Trawangan snorkeling?
The best time to visit is during the dry season, from May to September. During these months, you’ll experience the calmest seas, sunniest days, and best underwater visibility, making for perfect snorkeling conditions.
2. Can you see turtles in Gili Trawangan all year round?
Yes! The resident turtle population stays around the Gili Islands throughout the year. The Gili Matra Marine Recreational Reserve is a critical foraging ground for them. A 2021 study confirmed its importance, meaning you have a high chance of seeing turtles no matter when you visit. For more on regional conservation, see the WWF’s page on the Coral Triangle.
3. Do I need to be a good swimmer to snorkel in Gili Trawangan?
Not necessarily. If you stick to the North Beach during low tide, the water can be as shallow as your waist for a long way out. You can easily stand up if you need a break. For non-swimmers, wearing a life vest is highly recommended for safety and confidence.
4. Is it better to snorkel on the East or North side of Gili Trawangan?
It depends on your goal! Go to the East Beach (near Gili Boys) if your main priority is to see sea turtles. Go to the North Beach (near Gilibong Sunset) if you want to see vibrant coral reefs and a huge variety of colorful fish in calm, clear water.
